Fünf Jahre ist die letzte Pokal-Finalteilnahme des FC Bayern her. Eine ungewöhnliche Durststrecke für den Rekordsieger. Seit 2020 war sogar dreimal in der zweiten Runde schon Schluss für den FCB. Gegen den 1. FC Köln wollen es die Münchner am Mittwoch daher besser machen. Für Trainer Vincent Kompamy ist dieser Druck aber kein Problem.
Im Elfmeterschießen: BVB setzt sich in Frankfurt durch
Im Elfmeter-Krimi hat Niko Kovac bei seiner Rückkehr nach Frankfurt mit Borussia Dortmund die schwierige Bewährungsprobe im DFB-Pokal bestanden und das Achtelfinale erreicht. Der BVB-Coach setzte sich mit seinem Team im Topspiel der zweiten Runde bei seinem Ex-Klub im Elfmeterschießen durch. Mit der Eintracht schied ein potenzieller Titelkonkurrent frühzeitig aus.
Im Elfmeterschießen: BVB setzt sich in Frankfurt durch
Im Elfmeter-Krimi hat Niko Kovac bei seiner Rückkehr nach Frankfurt mit Borussia Dortmund die schwierige Bewährungsprobe im DFB-Pokal bestanden und das Achtelfinale erreicht. Der BVB-Coach setzte sich mit seinem Team im Topspiel der zweiten Runde bei seinem Ex-Klub im Elfmeterschießen durch. Mit der Eintracht schied ein potenzieller Titelkonkurrent frühzeitig aus.
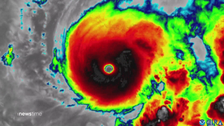
"Melissa" trifft mit voller Wucht auf Jamaika
Mit zerstörerischer Kraft hat Hurrikan "Melissa" Jamaika getroffen. Mit Windgeschwindigkeiten von 295 km/h zählt er zu den stärksten Stürmen im Atlantik. Die Lage ist kritisch, die Regierung warnt vor einer noch nie dagewesenen Krise.
Bald Katastrophenschutz auf dem Stundenplan?
Katastrophenschutz wird immer wichtiger, doch wie gut sind wir darauf vorbereitet? Eine neue Initiative könnte dafür sorgen, dass Schüler künftig schon früh lernen, wie sie sich in Notlagen verhalten. Der Vorschlag stößt jedoch auch auf Widerstand.
Sudan: Berichte über Gräueltaten
Der Bürgerkrieg im Sudan erreicht einen neuen Höhepunkt: In Darfur hat die RSF-Miliz nach dem Rückzug der Armee aus Al-Faschir fast die gesamte Region unter ihre Kontrolle gebracht. Der zweieinhalbjährige Konflikt hat bisher verheerende Folgen.
Lage im Gazastreifen eskaliert erneut
Nach einer dreiwöchigen Waffenruhe flammt der Konflikt im Gazastreifen wieder auf. Israelische Luftangriffe auf Gaza folgten auf Angriffe der Hamas und Verzögerungen bei der Geiselübergabe.
Patienten abgewiesen: Einzelfälle oder Systemversagen?
Eine 54-jährige Mühlviertlerin ist Mitte Oktober an einem Aorteneinriss gestorben, nachdem kein spezialisiertes Krankenhaus sie aufnehmen konnte. Spitäler und Politik sind um Aufarbeitung bemüht, doch jetzt sind zwei ähnliche Fälle ans Licht gekommen.